Pris

195.000 €

Hus-ID

1787-1323

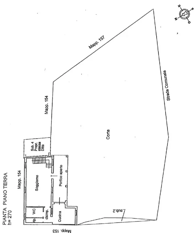
Boligareal

170 m²

Grundareal

685 m²

Soveværelser

3

Badeværelser

3

Hustype

Byhus

Tilstand

Optimal/renoveret

Energimærke

G

Terrasse

Ja

Have

Ja

Afstand lufthavn

72 km

Afstand supermarket

5 km

Afstand café

4,5 km

Afstand restaurant

4,5 km